価格4,590万円
建築条件 無し
所在:府中市栄町3丁目
交通:武蔵野線北府中徒歩8分 
   

 

土 地
101.08㎡(30.58坪)
ぺい
60
容積率
300
用 途
準住居地域
接 道
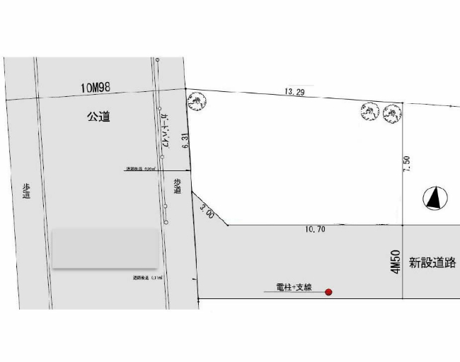
角地  南4.5M道路  西10.9M道路  
現 況
更地 
引 渡
相談 
北府中4,590万円
栄町3丁目地形図
G-23365栄町3丁目外観2
G-23365栄町3丁目画像3
G-23365栄町3丁目現地4
G-23365栄町3丁目写真5
設 備
公営水道、公共下水、東京電力、都市ガス 
備 考
 
周辺状況
 

第九小学校学区 第一中学校学区

北府中駅タウン情報  
栄町3丁目周辺マップ  
北府中駅周辺マップ

管轄交番:栄町交番  
管轄消防署:栄町出張所

お電話でのお問い合わせ 画像をタップするとお電話がかけられます。
不動産のお問い合わせ

上に戻る