価格4,190万円
建築条件 有り
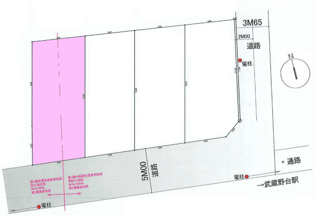
所在:府中市白糸台4丁目
交通:京王線武蔵野台徒歩1分 西武多摩川線白糸台徒歩7分
新築分譲全4棟。 一部建ぺい率40% 容積率80%。
土 地
81.27㎡(24.58坪)
建率
60%
容積率
200%
用 途
第1種中高層住居専用地域
接 道
一方
南5M道路
現 況
更地
引 渡
相談






設 備
公営水道、公共下水、東京電力、都市ガス
備 考
周辺状況
第四or小柳or南白糸台小学校:要確認学区 第六or第九中学校:要確認学区



