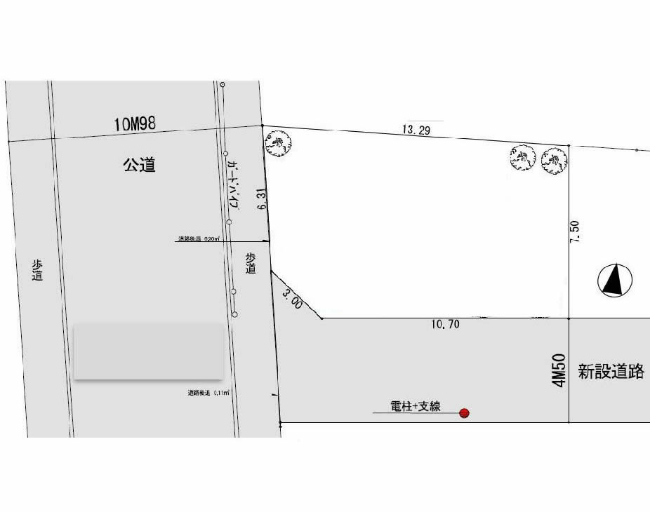
東府中の土地。府中市清水が丘3丁目g-23043の物件画像です。
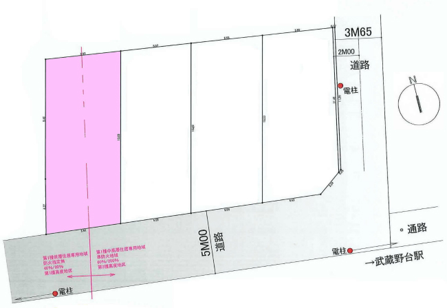
東府中の土地。府中市清水が丘3丁目g-23043の地形図です。
G-23043
建築条件無し
東府中
価格1,150万円
土地55.40㎡16.76坪)
接道 一方
建ぺい率40
容積率80
京王線東府中徒歩8分
府中市清水が丘3丁目
中河原の土地。府中市住吉町3丁目g-22857の物件画像です。
中河原の土地。府中市住吉町3丁目g-22857の地形図です。
G-22857
建築条件無し
中河原
価格1,300万円
土地20.94㎡6.33坪)
接道 一方
建ぺい率60
容積率200
京王線中河原徒歩11分
府中市住吉町3丁目
中河原の土地。府中市日新町3丁目g-23006の物件画像です。
中河原の土地。府中市日新町3丁目g-23006の地形図です。
G-23006
建築条件無し
中河原
価格1,700万円
土地72.51㎡21.93坪)
接道 一方
建ぺい率40
容積率80
京王線中河原徒歩19分
府中市日新町3丁目
西府の土地。府中市西府町4丁目g-23024の物件画像です。
西府の土地。府中市西府町4丁目g-23024の地形図です。
G-23024
建築条件無し
西府
価格1,780万円
土地62.96㎡19.05坪)
接道 一方
建ぺい率40
容積率80
南武線西府徒歩12分
府中市西府町4丁目
競艇場前の土地。府中市小柳町4丁目g-22611の物件画像です。
競艇場前の土地。府中市小柳町4丁目g-22611の地形図です。
G-22611
建築条件無し
競艇場前
価格1,880万円
土地71.36㎡21.59坪)
接道 一方
建ぺい率40
容積率80
西武多摩川線競艇場前徒歩8分
府中市小柳町4丁目
中河原の土地。府中市四谷2丁目g-22823の物件画像です。
中河原の土地。府中市四谷2丁目g-22823の地形図です。
G-22823
建築条件無し
中河原
価格1,880万円
土地112.99㎡34.18坪)
接道 一方
建ぺい率40
容積率80
京王線中河原徒歩14分
南武線西府徒歩19分
府中市四谷2丁目
武蔵野台の土地。府中市小柳町4丁目g-22834の物件画像です。
武蔵野台の土地。府中市小柳町4丁目g-22834の地形図です。
G-22834
建築条件無し
武蔵野台
価格2,200万円
土地66.15㎡20.01坪)
接道 一方
建ぺい率40
容積率80
京王線武蔵野台徒歩18分
西武多摩川線競艇場前徒歩8分
府中市小柳町4丁目
中河原の土地。府中市四谷3丁目g-23178の物件画像です。
中河原の土地。府中市四谷3丁目g-23178の地形図です。
G-23178 新価格
建築条件無し
中河原
価格2,280万円
土地109.43㎡33.10坪)
接道 一方
建ぺい率40
容積率80
京王線中河原徒歩21分
府中市四谷3丁目
武蔵小金井の土地。府中市浅間町3丁目g-23191の物件画像です。
武蔵小金井の土地。府中市浅間町3丁目g-23191の地形図です。
G-23191 new
建築条件無し
武蔵小金井
価格2,400万円
土地71.76㎡21.71坪)
接道 一方
建ぺい率60
容積率300
中央線武蔵小金井バス18分歩2分
府中市浅間町3丁目
是政の土地。府中市是政6丁目g-23205の物件画像です。
是政の土地。府中市是政6丁目g-23205の地形図です。
G-23205 new
建築条件無し
是政
価格2,480万円
土地78.10㎡23.63坪)
接道 一方
建ぺい率60
容積率200
西武多摩川線是政徒歩12分
南武線・武蔵野線府中本町徒歩15分
府中市是政6丁目
東府中の土地。府中市緑町3丁目g-22998の物件画像です。
東府中の土地。府中市緑町3丁目g-22998の地形図です。
G-22998
建築条件無し
東府中
価格2,600万円
土地39.58㎡11.97坪)
接道 一方
建ぺい率80
容積率500
京王線東府中徒歩6分
府中市緑町3丁目
西府の土地。府中市西府町4丁目g-23128の物件画像です。
西府の土地。府中市西府町4丁目g-23128の地形図です。
G-23128 新価格
建築条件無し
西府
価格2,680万円
土地85.80㎡25.95坪)
接道 一方
建ぺい率40
容積率80
南武線西府徒歩15分
南武線谷保徒歩14分
府中市西府町4丁目
分倍河原の土地。府中市分梅町2丁目g-22711の物件画像です。
分倍河原の土地。府中市分梅町2丁目g-22711の地形図です。
G-22711
建築条件無し
分倍河原
価格2,780万円
土地69.44㎡21.01坪)
接道 一方
建ぺい率40
容積率80
京王線・南武線分倍河原徒歩11分
府中市分梅町2丁目
北府中の土地。府中市栄町3丁目g-22907の物件画像です。
北府中の土地。府中市栄町3丁目g-22907の地形図です。
G-22907
建築条件無し
北府中
価格2,780万円
土地89.32㎡27.02坪)
接道 一方
建ぺい率60
容積率160
武蔵野線北府中徒歩10分
京王線府中バス12分歩2分
府中市栄町3丁目
多磨の土地。府中市紅葉丘2丁目g-23219の物件画像です。
多磨の土地。府中市紅葉丘2丁目g-23219の地形図です。
G-23219 new
建築条件有り
多磨
価格2,940万円
土地82.49㎡24.95坪)
接道 一方
建ぺい率60
容積率160
西武多摩川線多磨徒歩10分
府中市紅葉丘2丁目
競艇場前の土地。府中市小柳町4丁目g-22978の物件画像です。
競艇場前の土地。府中市小柳町4丁目g-22978の地形図です。
G-22978
建築条件有り
競艇場前
価格2,980万円
土地78.00㎡23.60坪)
接道 一方
建ぺい率80
容積率200
西武多摩川線競艇場前徒歩2分
府中市小柳町4丁目
競艇場前の土地。府中市小柳町4丁目g-22980の物件画像です。
競艇場前の土地。府中市小柳町4丁目g-22980の地形図です。
G-22980
建築条件有り
競艇場前
価格3,050万円
土地78.01㎡23.60坪)
接道 角地
建ぺい率80
容積率200
西武多摩川線競艇場前徒歩2分
府中市小柳町4丁目
競艇場前の土地。府中市小柳町4丁目g-22979の物件画像です。
競艇場前の土地。府中市小柳町4丁目g-22979の地形図です。
G-22979 新価格
建築条件有り
競艇場前
価格3,180万円
土地78.01㎡23.60坪)
接道 一方
建ぺい率80
容積率200
西武多摩川線競艇場前徒歩2分
府中市小柳町4丁目
西府の土地。府中市西府町3丁目g-23224の物件画像です。
西府の土地。府中市西府町3丁目g-23224の地形図です。
G-23224 new
建築条件有り
西府
価格3,280万円
土地111.08㎡33.60坪)
接道 一方
建ぺい率40
容積率80
南武線西府徒歩14分
府中市西府町3丁目
西府の土地。府中市日新町5丁目g-23108の物件画像です。
西府の土地。府中市日新町5丁目g-23108の地形図です。
G-23108
建築条件無し
西府
価格3,290万円
土地110.02㎡33.28坪)
接道 一方
建ぺい率40
容積率80
南武線西府徒歩17分
京王線中河原徒歩25分
府中市日新町5丁目
西府の土地。府中市日新町5丁目g-23112の物件画像です。
西府の土地。府中市日新町5丁目g-23112の地形図です。
G-23112
建築条件無し
西府
価格3,290万円
土地110.02㎡33.28坪)
接道 一方
建ぺい率40
容積率80
南武線西府徒歩17分
京王線中河原徒歩25分
府中市日新町5丁目
西府の土地。府中市日新町5丁目g-23113の物件画像です。
西府の土地。府中市日新町5丁目g-23113の地形図です。
G-23113
建築条件無し
西府
価格3,290万円
土地110.03㎡33.28坪)
接道 一方
建ぺい率40
容積率80
南武線西府徒歩17分
京王線中河原徒歩25分
府中市日新町5丁目
西府の土地。府中市日新町5丁目g-23114の物件画像です。
西府の土地。府中市日新町5丁目g-23114の地形図です。
G-23114
建築条件無し
西府
価格3,290万円
土地110.02㎡33.28坪)
接道 一方
建ぺい率40
容積率80
南武線西府徒歩17分
京王線中河原徒歩25分
府中市日新町5丁目
西府の土地。府中市日新町5丁目g-23111の物件画像です。
西府の土地。府中市日新町5丁目g-23111の地形図です。
G-23111
建築条件無し
西府
価格3,290万円
土地110.02㎡33.28坪)
接道 一方
建ぺい率40
容積率80
南武線西府徒歩17分
京王線中河原徒歩25分
府中市日新町5丁目
西府の土地。府中市日新町5丁目g-23110の物件画像です。
西府の土地。府中市日新町5丁目g-23110の地形図です。
G-23110
建築条件無し
西府
価格3,290万円
土地110.02㎡33.28坪)
接道 一方
建ぺい率40
容積率80
南武線西府徒歩17分
京王線中河原徒歩25分
府中市日新町5丁目
西府の土地。府中市日新町5丁目g-23109の物件画像です。
西府の土地。府中市日新町5丁目g-23109の地形図です。
G-23109
建築条件無し
西府
価格3,290万円
土地117.40㎡35.51坪)
接道 一方
建ぺい率40
容積率80
南武線西府徒歩17分
京王線中河原徒歩25分
府中市日新町5丁目
西府の土地。府中市日新町4丁目g-23181の物件画像です。
西府の土地。府中市日新町4丁目g-23181の地形図です。
G-23181 new
建築条件無し
西府
価格3,380万円
土地114.13㎡34.52坪)
接道 一方
建ぺい率40
容積率80
南武線西府徒歩16分
府中市日新町4丁目
多磨の土地。府中市紅葉丘2丁目g-23218の物件画像です。
多磨の土地。府中市紅葉丘2丁目g-23218の地形図です。
G-23218 new
建築条件有り
多磨
価格3,440万円
土地63.61㎡19.24坪)
接道 一方
建ぺい率60
容積率160
西武多摩川線多磨徒歩10分
府中市紅葉丘2丁目
武蔵野台の土地。府中市白糸台4丁目g-22995の物件画像です。
武蔵野台の土地。府中市白糸台4丁目g-22995の地形図です。
G-22995
建築条件無し
武蔵野台
価格3,480万円
土地83.99㎡25.41坪)
接道 一方
建ぺい率40
容積率80
京王線武蔵野台徒歩3分
西武多摩川線白糸台徒歩10分
府中市白糸台4丁目
多磨霊園の土地。府中市小柳町2丁目g-23136の物件画像です。
多磨霊園の土地。府中市小柳町2丁目g-23136の地形図です。
G-23136
建築条件有り
多磨霊園
価格3,480万円
土地100.00㎡30.25坪)
接道 一方
建ぺい率40
容積率80
京王線多磨霊園徒歩9分
西武多摩川線競艇場前徒歩8分
府中市小柳町2丁目
西府の土地。府中市西府町3丁目g-23223の物件画像です。
西府の土地。府中市西府町3丁目g-23223の地形図です。
G-23223 new
建築条件有り
西府
価格3,480万円
土地119.57㎡36.17坪)
接道 一方
建ぺい率40
容積率80
南武線西府徒歩14分
府中市西府町3丁目
多磨霊園の土地。府中市小柳町2丁目g-23135の物件画像です。
多磨霊園の土地。府中市小柳町2丁目g-23135の地形図です。
G-23135
建築条件有り
多磨霊園
価格3,480万円
土地100.01㎡30.25坪)
接道 一方
建ぺい率40
容積率80
京王線多磨霊園徒歩9分
西武多摩川線競艇場前徒歩8分
府中市小柳町2丁目
中河原の土地。府中市分梅町4丁目g-23165の物件画像です。
中河原の土地。府中市分梅町4丁目g-23165の地形図です。
G-23165
建築条件無し
中河原
価格3,480万円
土地81.36㎡24.61坪)
接道 一方
建ぺい率40
容積率80
京王線中河原徒歩13分
京王線・南武線分倍河原徒歩14分
府中市分梅町4丁目
多磨霊園の土地。府中市小柳町2丁目g-23137の物件画像です。
多磨霊園の土地。府中市小柳町2丁目g-23137の地形図です。
G-23137
建築条件有り
多磨霊園
価格3,480万円
土地100.01㎡30.25坪)
接道 一方
建ぺい率40
容積率80
京王線多磨霊園徒歩9分
西武多摩川線競艇場前徒歩8分
府中市小柳町2丁目
西府の土地。府中市日新町3丁目g-22937の物件画像です。
西府の土地。府中市日新町3丁目g-22937の地形図です。
G-22937
建築条件無し
西府
価格3,503万円
土地112.43㎡34.01坪)
接道 一方
建ぺい率60
容積率200
南武線西府徒歩14分
府中市日新町3丁目
多磨霊園の土地。府中市是政2丁目g-23207の物件画像です。
多磨霊園の土地。府中市是政2丁目g-23207の地形図です。
G-23207 new
建築条件有り
多磨霊園
価格3,590万円
土地116.36㎡35.20坪)
接道 一方
建ぺい率60
容積率200
京王線多磨霊園徒歩14分
府中市是政2丁目
西府の土地。府中市日新町5丁目g-23100の物件画像です。
西府の土地。府中市日新町5丁目g-23100の地形図です。
G-23100
建築条件無し
西府
価格3,690万円
土地117.02㎡35.40坪)
接道 一方
建ぺい率40
容積率80
南武線西府徒歩17分
京王線中河原徒歩25分
府中市日新町5丁目
多磨霊園の土地。府中市是政2丁目g-23209の物件画像です。
多磨霊園の土地。府中市是政2丁目g-23209の地形図です。
G-23209 new
建築条件有り
多磨霊園
価格3,690万円
土地115.93㎡35.07坪)
接道 一方
建ぺい率60
容積率200
京王線多磨霊園徒歩14分
府中市是政2丁目
府中本町の土地。府中市南町6丁目g-23069の物件画像です。
府中本町の土地。府中市南町6丁目g-23069の地形図です。
G-23069
建築条件無し
府中本町
価格3,690万円
土地105.31㎡31.86坪)
接道 一方
建ぺい率60
容積率200
南武線・武蔵野線府中本町徒歩14分
府中市南町6丁目
西府の土地。府中市西府町3丁目g-23229の物件画像です。
西府の土地。府中市西府町3丁目g-23229の地形図です。
G-23229 new
建築条件有り
西府
価格3,780万円
土地100.01㎡30.25坪)
接道 一方
建ぺい率60
容積率200
南武線西府徒歩14分
府中市西府町3丁目
分倍河原の土地。府中市美好町1丁目g-22911の物件画像です。
分倍河原の土地。府中市美好町1丁目g-22911の地形図です。
G-22911
建築条件無し
分倍河原
価格3,780万円
土地65.40㎡19.78坪)
接道 一方
建ぺい率80
容積率240
京王線・南武線分倍河原徒歩8分
京王線府中徒歩14分
府中市美好町1丁目
西府の土地。府中市西府町3丁目g-23225の物件画像です。
西府の土地。府中市西府町3丁目g-23225の地形図です。
G-23225 new
建築条件有り
西府
価格3,790万円
土地113.97㎡34.48坪)
接道 一方
建ぺい率40
容積率80
南武線西府徒歩14分
府中市西府町3丁目
府中本町の土地。府中市南町6丁目g-23073の物件画像です。
府中本町の土地。府中市南町6丁目g-23073の地形図です。
G-23073
建築条件無し
府中本町
価格3,790万円
土地101.19㎡30.61坪)
接道 一方
建ぺい率60
容積率200
南武線・武蔵野線府中本町徒歩14分
府中市南町6丁目
西府の土地。府中市西府町3丁目g-23227の物件画像です。
西府の土地。府中市西府町3丁目g-23227の地形図です。
G-23227 new
建築条件有り
西府
価格3,880万円
土地112.81㎡34.13坪)
接道 一方
建ぺい率60
容積率200
南武線西府徒歩14分
府中市西府町3丁目
西府の土地。府中市西府町3丁目g-23226の物件画像です。
西府の土地。府中市西府町3丁目g-23226の地形図です。
G-23226 new
建築条件有り
西府
価格3,890万円
土地113.97㎡34.48坪)
接道 一方
建ぺい率60
容積率200
南武線西府徒歩14分
府中市西府町3丁目
多磨霊園の土地。府中市白糸台1丁目g-22933の物件画像です。
多磨霊園の土地。府中市白糸台1丁目g-22933の地形図です。
G-22933
建築条件無し
多磨霊園
価格3,980万円
土地188.46㎡57.01坪)
接道 一方
建ぺい率60
容積率160
京王線多磨霊園徒歩5分
西武多摩川線白糸台徒歩5分
府中市白糸台1丁目
西府の土地。府中市西府町3丁目g-23228の物件画像です。
西府の土地。府中市西府町3丁目g-23228の地形図です。
G-23228 new
建築条件有り
西府
価格3,980万円
土地100.33㎡30.35坪)
接道 角地
建ぺい率60
容積率200
南武線西府徒歩14分
府中市西府町3丁目
多磨の土地。府中市若松町4丁目g-23052の物件画像です。
多磨の土地。府中市若松町4丁目g-23052の地形図です。
G-23052
建築条件無し
多磨
価格3,980万円
土地109.31㎡33.07坪)
接道 一方
建ぺい率40
容積率80
西武多摩川線多磨徒歩17分
京王線多磨霊園徒歩21分
府中市若松町4丁目
府中本町の土地。府中市南町6丁目g-23070の物件画像です。
府中本町の土地。府中市南町6丁目g-23070の地形図です。
G-23070
建築条件無し
府中本町
価格3,990万円
土地101.05㎡30.57坪)
接道 一方
建ぺい率60
容積率200
南武線・武蔵野線府中本町徒歩14分
府中市南町6丁目
府中本町の土地。府中市南町6丁目g-23074の物件画像です。
府中本町の土地。府中市南町6丁目g-23074の地形図です。
G-23074
建築条件無し
府中本町
価格3,990万円
土地100.04㎡30.26坪)
接道 一方
建ぺい率60
容積率200
南武線・武蔵野線府中本町徒歩14分
府中市南町6丁目
府中本町の土地。府中市南町6丁目g-23075の物件画像です。
府中本町の土地。府中市南町6丁目g-23075の地形図です。
G-23075
建築条件無し
府中本町
価格3,990万円
土地100.05㎡30.27坪)
接道 一方
建ぺい率60
容積率200
南武線・武蔵野線府中本町徒歩14分
府中市南町6丁目
西府の土地。府中市日新町5丁目g-23101の物件画像です。
西府の土地。府中市日新町5丁目g-23101の地形図です。
G-23101
建築条件無し
西府
価格3,990万円
土地117.02㎡35.40坪)
接道 角地
建ぺい率40
容積率80
南武線西府徒歩17分
京王線中河原徒歩25分
府中市日新町5丁目
多磨霊園の土地。府中市是政2丁目g-23208の物件画像です。
多磨霊園の土地。府中市是政2丁目g-23208の地形図です。
G-23208 new
建築条件有り
多磨霊園
価格4,090万円
土地107.62㎡32.56坪)
接道 一方
建ぺい率60
容積率200
京王線多磨霊園徒歩14分
府中市是政2丁目
西府の土地。府中市西府町3丁目g-23222の物件画像です。
西府の土地。府中市西府町3丁目g-23222の地形図です。
G-23222 new
建築条件有り
西府
価格4,180万円
土地130.97㎡39.62坪)
接道 一方
建ぺい率40
容積率80
南武線西府徒歩14分
府中市西府町3丁目
多磨の土地。府中市多磨町2丁目g-23061の物件画像です。
多磨の土地。府中市多磨町2丁目g-23061の地形図です。
G-23061
建築条件有り
多磨
価格4,190万円
土地113.28㎡34.27坪)
接道 一方
建ぺい率40
容積率80
西武多摩川線多磨徒歩18分
府中市多磨町2丁目
府中本町の土地。府中市南町6丁目g-23080の物件画像です。
府中本町の土地。府中市南町6丁目g-23080の地形図です。
G-23080
建築条件無し
府中本町
価格4,190万円
土地101.03㎡30.56坪)
接道 一方
建ぺい率60
容積率200
南武線・武蔵野線府中本町徒歩14分
府中市南町6丁目
多磨霊園の土地。府中市是政2丁目g-23206の物件画像です。
多磨霊園の土地。府中市是政2丁目g-23206の地形図です。
G-23206 new
建築条件有り
多磨霊園
価格4,190万円
土地107.99㎡32.67坪)
接道 一方
建ぺい率60
容積率200
京王線多磨霊園徒歩14分
府中市是政2丁目
府中本町の土地。府中市南町6丁目g-23077の物件画像です。
府中本町の土地。府中市南町6丁目g-23077の地形図です。
G-23077
建築条件無し
府中本町
価格4,190万円
土地100.96㎡30.54坪)
接道 一方
建ぺい率60
容積率200
南武線・武蔵野線府中本町徒歩14分
府中市南町6丁目
府中の土地。府中市新町1丁目g-23036の物件画像です。
府中の土地。府中市新町1丁目g-23036の地形図です。
G-23036 新価格
建築条件有り
府中
価格4,194万円
土地112.18㎡33.93坪)
接道 角地
建ぺい率40
容積率80
京王線府中徒歩25分
府中市新町1丁目
西府の土地。府中市西府町5丁目g-22380の物件画像です。
西府の土地。府中市西府町5丁目g-22380の地形図です。
G-22380
建築条件無し
西府
価格4,250万円
土地117.93㎡35.67坪)
接道 角地
建ぺい率40
容積率80
南武線西府徒歩7分
府中市西府町5丁目
多磨霊園の土地。府中市白糸台1丁目g-22932の物件画像です。
多磨霊園の土地。府中市白糸台1丁目g-22932の地形図です。
G-22932
建築条件無し
多磨霊園
価格4,280万円
土地165.17㎡49.96坪)
接道 一方
建ぺい率60
容積率160
京王線多磨霊園徒歩5分
西武多摩川線白糸台徒歩5分
府中市白糸台1丁目
多磨の土地。府中市若松町4丁目g-23050の物件画像です。
多磨の土地。府中市若松町4丁目g-23050の地形図です。
G-23050
建築条件無し
多磨
価格4,280万円
土地109.31㎡33.07坪)
接道 角地
建ぺい率40
容積率80
西武多摩川線多磨徒歩17分
京王線多磨霊園徒歩21分
府中市若松町4丁目
谷保の土地。府中市西府町4丁目g-23066の物件画像です。
谷保の土地。府中市西府町4丁目g-23066の地形図です。
G-23066
建築条件無し
谷保
価格4,280万円
土地114.57㎡34.66坪)
接道 一方
建ぺい率40
容積率80
南武線谷保徒歩13分
府中市西府町4丁目
府中本町の土地。府中市南町6丁目g-23076の物件画像です。
府中本町の土地。府中市南町6丁目g-23076の地形図です。
G-23076
建築条件無し
府中本町
価格4,290万円
土地100.35㎡30.36坪)
接道 角地
建ぺい率60
容積率200
南武線・武蔵野線府中本町徒歩14分
府中市南町6丁目
府中本町の土地。府中市南町6丁目g-23079の物件画像です。
府中本町の土地。府中市南町6丁目g-23079の地形図です。
G-23079
建築条件無し
府中本町
価格4,390万円
土地101.04㎡30.56坪)
接道 一方
建ぺい率60
容積率200
南武線・武蔵野線府中本町徒歩14分
府中市南町6丁目
府中本町の土地。府中市南町6丁目g-23081の物件画像です。
府中本町の土地。府中市南町6丁目g-23081の地形図です。
G-23081
建築条件無し
府中本町
価格4,390万円
土地101.03㎡30.56坪)
接道 角地
建ぺい率60
容積率200
南武線・武蔵野線府中本町徒歩14分
府中市南町6丁目
府中本町の土地。府中市南町6丁目g-23078の物件画像です。
府中本町の土地。府中市南町6丁目g-23078の地形図です。
G-23078
建築条件無し
府中本町
価格4,390万円
土地100.96㎡30.54坪)
接道 一方
建ぺい率60
容積率200
南武線・武蔵野線府中本町徒歩14分
府中市南町6丁目
府中本町の土地。府中市南町6丁目g-23072の物件画像です。
府中本町の土地。府中市南町6丁目g-23072の地形図です。
G-23072
建築条件無し
府中本町
価格4,390万円
土地101.13㎡30.59坪)
接道 角地
建ぺい率60
容積率200
南武線・武蔵野線府中本町徒歩14分
府中市南町6丁目
府中の土地。府中市栄町2丁目g-23153の物件画像です。
府中の土地。府中市栄町2丁目g-23153の地形図です。
G-23153
建築条件無し
府中
価格4,480万円
土地98.88㎡29.91坪)
接道 一方
建ぺい率60
容積率200
京王線府中徒歩20分
武蔵野線北府中徒歩14分
府中市栄町2丁目
多磨の土地。府中市多磨町2丁目g-23060の物件画像です。
多磨の土地。府中市多磨町2丁目g-23060の地形図です。
G-23060
建築条件有り
多磨
価格4,490万円
土地120.08㎡36.32坪)
接道 一方
建ぺい率40
容積率80
西武多摩川線多磨徒歩18分
府中市多磨町2丁目
武蔵野台の土地。府中市押立町2丁目g-22976の物件画像です。
武蔵野台の土地。府中市押立町2丁目g-22976の地形図です。
G-22976
建築条件無し
武蔵野台
価格4,500万円
土地112.03㎡33.89坪)
接道 角地
建ぺい率40
容積率80
京王線武蔵野台徒歩12分
京王線飛田給徒歩11分
府中市押立町2丁目
東府中の土地。府中市若松町3丁目g-23184の物件画像です。
東府中の土地。府中市若松町3丁目g-23184の地形図です。
G-23184 new
建築条件有り
東府中
価格4,630万円
土地115.28㎡34.87坪)
接道 一方
建ぺい率40
容積率80
京王線東府中徒歩15分
西武多摩川線白糸台徒歩18分
府中市若松町3丁目
中河原の土地。府中市四谷1丁目g-23232の物件画像です。
中河原の土地。府中市四谷1丁目g-23232の地形図です。
G-23232 new
建築条件無し
中河原
価格4,780万円
土地160.67㎡48.60坪)
接道 一方
建ぺい率50
容積率100
京王線中河原徒歩14分
府中市四谷1丁目
多磨の土地。府中市多磨町2丁目g-23058の物件画像です。
多磨の土地。府中市多磨町2丁目g-23058の地形図です。
G-23058
建築条件有り
多磨
価格4,790万円
土地120.06㎡36.32坪)
接道 角地
建ぺい率40
容積率80
西武多摩川線多磨徒歩18分
府中市多磨町2丁目
分倍河原の土地。府中市分梅町5丁目g-23196の物件画像です。
分倍河原の土地。府中市分梅町5丁目g-23196の地形図です。
G-23196 new
建築条件無し
分倍河原
価格4,900万円
土地121.12㎡36.64坪)
接道 一方
建ぺい率40
容積率80
京王線・南武線分倍河原徒歩13分
京王線中河原徒歩12分
府中市分梅町5丁目
中河原の土地。府中市四谷1丁目g-23182の物件画像です。
中河原の土地。府中市四谷1丁目g-23182の地形図です。
G-23182 new
建築条件無し
中河原
価格4,980万円
土地161.28㎡48.79坪)
接道 一方
建ぺい率50
容積率100
京王線中河原徒歩13分
府中市四谷1丁目
谷保の土地。府中市西府町4丁目g-23230の物件画像です。
谷保の土地。府中市西府町4丁目g-23230の地形図です。
G-23230 new
建築条件無し
谷保
価格4,980万円
土地129.90㎡39.29坪)
接道 一方
建ぺい率40
容積率80
南武線谷保徒歩13分
南武線西府徒歩15分
府中市西府町4丁目
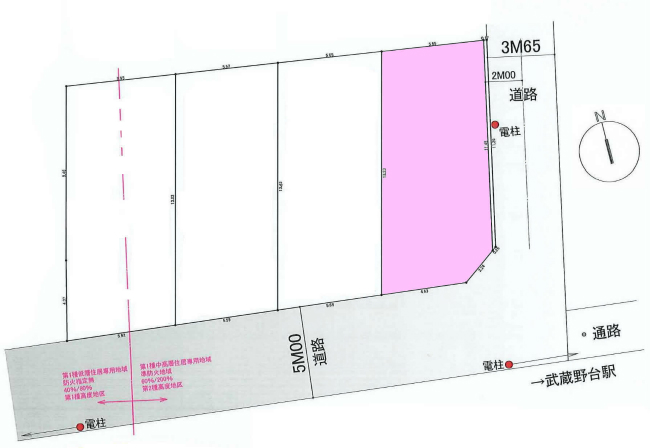
多磨霊園の土地。府中市清水が丘3丁目g-23179の物件画像です。
多磨霊園の土地。府中市清水が丘3丁目g-23179の地形図です。
G-23179 新価格
建築条件無し
多磨霊園
価格4,980万円
土地188.47㎡57.01坪)
接道 一方
建ぺい率60
容積率200
京王線多磨霊園徒歩5分
京王線東府中徒歩9分
府中市清水が丘3丁目
府中の土地。府中市八幡町2丁目g-22445の物件画像です。
府中の土地。府中市八幡町2丁目g-22445の地形図です。
G-22445
建築条件無し
府中
価格5,080万円
土地95.84㎡28.99坪)
接道 一方
建ぺい率80
容積率400
京王線府中徒歩9分
京王線東府中徒歩9分
府中市八幡町2丁目
分倍河原の土地。府中市分梅町5丁目g-23195の物件画像です。
分倍河原の土地。府中市分梅町5丁目g-23195の地形図です。
G-23195 new
建築条件無し
分倍河原
価格5,100万円
土地121.24㎡36.68坪)
接道 角地
建ぺい率40
容積率80
京王線・南武線分倍河原徒歩13分
京王線中河原徒歩12分
府中市分梅町5丁目
分倍河原の土地。府中市分梅町3丁目g-23194の物件画像です。
分倍河原の土地。府中市分梅町3丁目g-23194の地形図です。
G-23194 new
建築条件無し
分倍河原
価格5,100万円
土地111.21㎡33.64坪)
接道 角地
建ぺい率40
容積率80
京王線・南武線分倍河原徒歩12分
府中市分梅町3丁目
分倍河原の土地。府中市分梅町3丁目g-23193の物件画像です。
分倍河原の土地。府中市分梅町3丁目g-23193の地形図です。
G-23193 new
建築条件無し
分倍河原
価格5,200万円
土地106.82㎡32.31坪)
接道 角地
建ぺい率40
容積率80
京王線・南武線分倍河原徒歩12分
府中市分梅町3丁目
中河原の土地。府中市住吉町4丁目g-23014の物件画像です。
中河原の土地。府中市住吉町4丁目g-23014の地形図です。
G-23014
建築条件無し
中河原
価格5,200万円
土地181.82㎡55.00坪)
接道 一方
建ぺい率40
容積率80
京王線中河原徒歩7分
府中市住吉町4丁目
東府中の土地。府中市若松町3丁目g-23185の物件画像です。
東府中の土地。府中市若松町3丁目g-23185の地形図です。
G-23185 new
建築条件有り
東府中
価格5,220万円
土地108.46㎡32.81坪)
接道 一方
建ぺい率40
容積率80
京王線東府中徒歩15分
西武多摩川線白糸台徒歩18分
府中市若松町3丁目
東府中の土地。府中市若松町3丁目g-23183の物件画像です。
東府中の土地。府中市若松町3丁目g-23183の地形図です。
G-23183 new
建築条件有り
東府中
価格5,220万円
土地108.31㎡32.76坪)
接道 一方
建ぺい率40
容積率80
京王線東府中徒歩15分
西武多摩川線白糸台徒歩18分
府中市若松町3丁目
中河原の土地。府中市住吉町4丁目g-23015の物件画像です。
中河原の土地。府中市住吉町4丁目g-23015の地形図です。
G-23015
建築条件無し
中河原
価格5,700万円
土地148.83㎡45.02坪)
接道 一方
建ぺい率40
容積率80
京王線中河原徒歩7分
府中市住吉町4丁目
多磨霊園の土地。府中市清水が丘3丁目g-23091の物件画像です。
多磨霊園の土地。府中市清水が丘3丁目g-23091の地形図です。
G-23091
建築条件無し
多磨霊園
価格5,780万円
土地143.14㎡43.30坪)
接道 角地
建ぺい率40
容積率80
京王線多磨霊園徒歩6分
京王線東府中徒歩8分
府中市清水が丘3丁目
是政の土地。府中市是政5丁目g-23168の物件画像です。
是政の土地。府中市是政5丁目g-23168の地形図です。
G-23168 新価格
建築条件無し
是政
価格5,980万円
土地162.75㎡49.23坪)
接道 一方
建ぺい率50
容積率100
西武多摩川線是政徒歩4分
南武線南多摩徒歩14分
府中市是政5丁目
中河原の土地。府中市四谷3丁目g-22975の物件画像です。
中河原の土地。府中市四谷3丁目g-22975の地形図です。
G-22975 新価格
建築条件無し
中河原
価格6,080万円
土地217.39㎡65.76坪)
接道 一方
建ぺい率50
容積率100
京王線中河原徒歩20分
府中市四谷3丁目
府中の土地。府中市幸町1丁目g-23221の物件画像です。
府中の土地。府中市幸町1丁目g-23221の地形図です。
G-23221 new
建築条件無し
府中
価格6,100万円
土地100.00㎡30.25坪)
接道 角地
建ぺい率50
容積率100
京王線府中徒歩13分
武蔵野線北府中徒歩15分
府中市幸町1丁目
西府の土地。府中市本宿町4丁目g-23129の物件画像です。
西府の土地。府中市本宿町4丁目g-23129の地形図です。
G-23129
建築条件無し
西府
価格6,430万円
土地168.60㎡51.00坪)
接道 二方
建ぺい率40
容積率80
南武線西府徒歩13分
京王線・南武線分倍河原徒歩23分
府中市本宿町4丁目
府中本町の土地。府中市本町2丁目g-23198の物件画像です。
府中本町の土地。府中市本町2丁目g-23198の地形図です。
G-23198 new
建築条件無し
府中本町
価格6,480万円
土地104.82㎡31.71坪)
接道 一方
建ぺい率50
容積率100
南武線・武蔵野線府中本町徒歩3分
府中市本町2丁目
府中本町の土地。府中市本町2丁目g-23197の物件画像です。
府中本町の土地。府中市本町2丁目g-23197の地形図です。
G-23197 new
建築条件無し
府中本町
価格6,480万円
土地104.82㎡31.71坪)
接道 一方
建ぺい率50
容積率100
南武線・武蔵野線府中本町徒歩3分
府中市本町2丁目
白糸台の土地。府中市白糸台2丁目g-22993の物件画像です。
白糸台の土地。府中市白糸台2丁目g-22993の地形図です。
G-22993
建築条件有り
白糸台
価格6,610万円
土地113.42㎡34.31坪)
接道 角地
建ぺい率60
容積率300
西武多摩川線白糸台徒歩3分
京王線武蔵野台徒歩9分
府中市白糸台2丁目
分倍河原の土地。府中市美好町1丁目g-22897の物件画像です。
分倍河原の土地。府中市美好町1丁目g-22897の地形図です。
G-22897 新価格
建築条件有り
分倍河原
価格6,660万円
土地126.01㎡38.12坪)
接道 一方
建ぺい率60
容積率160
京王線・南武線分倍河原徒歩7分
京王線府中徒歩15分
府中市美好町1丁目
中河原の土地。府中市四谷3丁目g-22609の物件画像です。
中河原の土地。府中市四谷3丁目g-22609の地形図です。
G-22609
建築条件無し
中河原
価格6,700万円
土地233.68㎡70.69坪)
接道 二方
建ぺい率60
容積率200
京王線中河原徒歩23分
南武線西府徒歩29分
府中市四谷3丁目
多磨の土地。府中市多磨町1丁目g-23124の物件画像です。
多磨の土地。府中市多磨町1丁目g-23124の地形図です。
G-23124
建築条件無し
多磨
価格6,980万円
土地197.26㎡59.67坪)
接道 一方
建ぺい率40
容積率80
西武多摩川線多磨徒歩8分
京王線武蔵野台徒歩28分
府中市多磨町1丁目
東府中の土地。府中市浅間町4丁目g-23172の物件画像です。
東府中の土地。府中市浅間町4丁目g-23172の地形図です。
G-23172
建築条件無し
東府中
価格7,180万円
土地206.16㎡62.36坪)
接道 角地
建ぺい率50
容積率80
おすすめ
京王線東府中徒歩18分
中央線武蔵小金井バス16分歩4分
府中市浅間町4丁目
西府の土地。府中市分梅町3丁目g-23175の物件画像です。
西府の土地。府中市分梅町3丁目g-23175の地形図です。
G-23175
建築条件無し
西府
価格7,480万円
土地165.30㎡50.00坪)
接道 角地
建ぺい率60
容積率300
京王線西府徒歩8分
府中市分梅町3丁目
中河原の土地。府中市四谷1丁目g-23216の物件画像です。
中河原の土地。府中市四谷1丁目g-23216の地形図です。
G-23216 new
建築条件無し
中河原
価格7,500万円
土地236.86㎡71.65坪)
接道 一方
建ぺい率50
容積率100
京王線中河原徒歩11分
府中市四谷1丁目
府中本町の土地。府中市南町6丁目g-23082の物件画像です。
府中本町の土地。府中市南町6丁目g-23082の地形図です。
G-23082
建築条件無し
府中本町
価格7,980万円
土地218.13㎡65.98坪)
接道 一方
建ぺい率60
容積率200
南武線・武蔵野線府中本町徒歩14分
府中市南町6丁目
中河原の土地。府中市住吉町2丁目g-22903の物件画像です。
中河原の土地。府中市住吉町2丁目g-22903の地形図です。
G-22903 新価格
建築条件無し
中河原
価格8,100万円
土地165.35㎡50.02坪)
接道 一方
建ぺい率60
容積率200
京王線中河原徒歩3分
府中市住吉町2丁目
西府の土地。府中市西府町3丁目g-22767の物件画像です。
西府の土地。府中市西府町3丁目g-22767の地形図です。
G-22767
建築条件無し
西府
価格9,600万円
土地265.27㎡80.24坪)
接道 一方
建ぺい率40
容積率80
南武線西府徒歩7分
府中市西府町3丁目
府中の土地。府中市八幡町2丁目g-23087の物件画像です。
府中の土地。府中市八幡町2丁目g-23087の地形図です。
G-23087
建築条件無し
府中
価格10,500万円
土地228.97㎡69.26坪)
接道 二方
建ぺい率40
容積率80
京王線府中徒歩12分
京王線競馬場前徒歩3分
府中市八幡町2丁目
競艇場前の土地。府中市小柳町5丁目g-23167の物件画像です。
競艇場前の土地。府中市小柳町5丁目g-23167の地形図です。
G-23167
建築条件無し
競艇場前
価格11,200万円
土地359.78㎡108.83坪)
接道 角地
建ぺい率50
容積率100
西武多摩川線競艇場前徒歩2分
府中市小柳町5丁目
府中本町の土地。府中市本町2丁目g-23199の物件画像です。
府中本町の土地。府中市本町2丁目g-23199の地形図です。
G-23199 new
建築条件無し
府中本町
価格12,800万円
土地209.65㎡63.42坪)
接道 一方
建ぺい率50
容積率100
南武線・武蔵野線府中本町徒歩3分
府中市本町2丁目
東府中の土地。府中市浅間町4丁目g-23174の物件画像です。
東府中の土地。府中市浅間町4丁目g-23174の地形図です。
G-23174
建築条件無し
東府中
価格13,280万円
土地375.24㎡113.51坪)
接道 一方
建ぺい率40
容積率80
京王線東府中バス11分歩3分
府中市浅間町4丁目
府中の土地。府中市幸町1丁目g-23034の物件画像です。
府中の土地。府中市幸町1丁目g-23034の地形図です。
G-23034
建築条件無し
府中
価格21,800万円
土地298.09㎡90.17坪)
接道 角地
建ぺい率50
容積率100
京王線府中徒歩9分
武蔵野線北府中徒歩15分
府中市幸町1丁目
108 物件中1108 件を表示
スマホの方は画像をタップするとお電話がかけられます。
売買不動産のお問い合わせ

上に戻る